नीलम, पायलिम, हेलन अब लहर, आखिर हो क्या रहा है?

- Author, सलमान रावी
- पदनाम, बीबीसी संवाददाता, दिल्ली
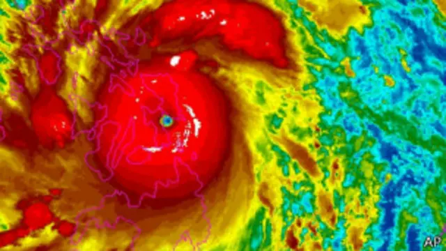
भारत के मौसम विभाग के मुताबिक एक और तेज़ तूफ़ान भारत के दक्षिण-पूर्वी तट की ओर बढ़ रहा है. इस तूफ़ान की गति लगभग 200 किलोमीटर प्रतिघंटा है. तूफ़ान के साथ भारी बारिश भी होगी.
तूफ़ान की तीव्रता के मद्देनज़र तटीय इलाक़ों से लाखों लोगों को सुरक्षित स्थानों पर पहुँचाया जा रहा है और राहत एवं बचाव दल तैनात किए जा रहे हैं.
मौसम विभाग के मुताबिक समुद्री तूफ़ान कारण तीन मीटर तक ऊंची लहरे उठने की संभावना है.
भारतीय मौसम विभाग के महानिदेशक लक्ष्मण सिंह राठौड़ ने बीबीसी को बताया कि तूफ़ान 28 नवंबर को तटीय इलाक़ों से टकराएगा.
बार बार तूफ़ान
तेज़ बारिश और उसके साथ उठतीं तेज़ हवाएं. ओडिशा और आंध्र प्रदेश के तटवर्तीय इलाकों के लिए अब ये आम होता जा रहा है.
प्रशांत महासागर में उत्पन्न हो रहे दबाव की वजह से बंगाल की खाड़ी में भी हलचल देखी जा रही है.
मौसम वैज्ञानिकों का कहना है कि बंगाल की खाड़ी में तूफ़ानों का सिलसिला उतना भी आम नहीं था जितना पिछले एक साल के दौरान देखने को मिला है.
पिछले एक साल के दौरान कई तूफ़ान आए हैं.
इस साल ही, छोटे तूफ़ानों को अगर छोड़ भी दिया जाए, बंगाल की खाड़ी में तीन बड़े-बड़े तूफ़ान आ चुके हैं जिसमे हाल ही में आया पायलिन भी शामिल हैं.
बढ़ता तापमान वजह
पिछले महीने आए पायलिन तूफ़ान ने ओडिशा और आंध्र प्रदेश में जम कर तबाही मचाई जिसमें लाखों लोगों को बेघर होना पड़ा. इस ज़बरदस्त तूफ़ान को देखते हुए प्रशासन ने पहले ही दोनों राज्यों के तटवर्तीय इलाकों से लोगों को सुरक्षित स्थानों पर पहुंचा दिया था.
मौसम वैज्ञानिकों का कहना है कि बुधवार की देर शाम से बंगाल की खाड़ी से टकराने वाले 'लहर' तूफ़ान की तीव्रता भी उतनी ही है जितनी पायलिन की थी. अनुमान लगाया गया है कि हवाओं की तेज़ी भी 200 किलोमीटर प्रति घंटे ही रहेगी.
वर्ष 1999 के अक्तूबर माह में ओडिशा से टकराने वाले तूफ़ान की चपेट में आकर दस हज़ार से ज्यादा लोगों की मौत हो गई थी जबकि लाखों बेघर हो गए थे. ये तूफ़ान भी पायलिन की तरह ही शक्तिशाली था.
मौसम वैज्ञानिकों का कहना है कि प्रशांत महासागर में तापमान में हो रहे बदलाव की वजह से भी इस तरह के तूफ़ानों में तेज़ी आ रही है.

भारतीय मौसम विभाग के महानिदेशक एलएस राठौर ने बीबीसी को बताया, "प्रशांत महासागर में तापमान में काफी बदलाव देखा जा रहा है. ऐसा पहले नहीं था. अमूमन जब भी प्रशांत महासागर के तापमान में बदलाव दर्ज होता था तो उससे तेज़ हवाएं उत्पन्न होती रही हैं. अब ये बदलाव काफी जल्दी जल्दी देखा जा हा है."
मौसम वैज्ञानिकों का कहना है कि तापमान में बदलाव के कारण प्रशांत महासागर में तेज़ हवाएं पैदा हो रहीं हैं जो तूफ़ान का रूप लेकर बंगाल की खाड़ी की तरफ बढ़ रहीं हैं. इस लिए दबाव और तेज़ हवाओं का सिलसिला बना हुआ है.
'ला नीना'
पिछले कुछ महीनों में बंगाल की खाड़ी से टकराने वाले तूफ़ानों की उत्पत्ति प्रशांत महासागर से ही हुई है.
प्रशांत महासागर में पैदा हो रहे तापमान में बदलाव को मौसम वैज्ञानिकों नें 'ला नीना' का नाम दिया है.
पायलिन सहित नारी और हईयान जैसे दूसरे तूफ़ान भी प्रशांत महासागर के तापमान में उछाल की वजह से ही उत्पन्न हुए हैं. अंडमान में नम मौसम की वजह से इन तूफ़ान में काफी तेज़ी पैदा हुई.
वैज्ञानिकों का कहना है कि बंगाल की खाड़ी में नम और गरम मौसम की वजह से तूफ़ान चक्रवात का रूप धारण कर रहे हैं.
पिछले साल भी आए नीलम की उत्पत्ति भी प्रशांत महासागर से ही हुई थी.
<bold>(बीबीसी हिन्दी के एंड्रॉएड ऐप के लिए <link type="page"><caption> यहां क्लिक करें</caption><url href="https://play.google.com/store/apps/details?id=uk.co.bbc.hindi" platform="highweb"/></link>. आप हमें <link type="page"><caption> फ़ेसबुक</caption><url href="https://www.facebook.com/bbchindi" platform="highweb"/></link> और <link type="page"><caption> ट्विटर</caption><url href="https://twitter.com/bbchindi" platform="highweb"/></link> पर भी फ़ॉलो कर सकते हैं.)</bold>












